logo bannhadat123.vn

Khu vực: Mua bán nhà đất tại Hồ Chí Minh    Mua bán nhà đất tại Quận 12    Bán đất tại Quận 12 

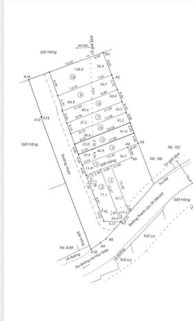
Đất nền phân lô tl29 ngay ubnn phường thạnh lộc, quận 12

Giá: 4.8 tỷ   Diện tích: 60 m2    Mã số BĐS: 1681952   Đánh giá:
/ 35

ĐẤT NỀN PHÂN LÔ CAO CẤP TL29 QUẬN 12
Cơ hội an cư đầu tư hiếm tại khu dân cư mới quy hoạch đồng bộ

Vị trí: TL29, Quận 12 khu dân cư hiện hữu, môi trường sống văn minh, tiềm năng phát triển cao.

Ưu điểm nổi bật:

Gần sát UBND phường Thạnh Lộc khu hành chính trung tâm, an ninh đảm bảo, giá trị đất ổn định.

Sát công viên trọng điểm quy mô 3,3ha không gian xanh lớn, nâng cao chất lượng sống và tiềm năng tăng giá.

Giá bán: Từ 4.8 tỷlô mức giá tốt trong phân khúc đất nền phân lô cao cấp Quận 12.

Diện tích: Từ 60m²lô, đất vuông vức, dễ xây dựng nhà ở, văn phòng hoặc cửa hàng.

Pháp lý: Sổ hồng riêng từng lô, công chứng sang tên ngay, giao dịch an tâm.

Hạ tầng: Đường nhựa rộng 8m, vỉa hè thông thoáng, khu phân lô sạch đẹp, dân cư hiện hữu.

Tiềm năng: Phù hợp xây ở, đầu tư lâu dài, kinh doanh hoặc cho thuê sinh lời ổn định.

Liên hệ: Ms My xem đất giữ lô đẹp.

Xin xem thêm đặc điểm và hình ảnh thực tế của bất động sản bên dưới

Vui lòng thông báo rằng bạn xem tin rao từ Bannhadat123.vn khi liên hệ người đăng tin:

Liên hệ: My       Điện thoại: Click để xem số điện thoại

Thông tin chi tiết bán đất tại quận 12, hồ chí minh 60 m2 giá 4.8 tỷ

Địa chỉ :
Thạnh Lộc 29, Phường Thạnh Lộc, Quận 12, Hồ Chí Minh
Mã số BĐS :
1681952
Loại tin rao :
Bán đất
Pháp lý :
Sổ đỏ
Hướng :
Không xác định
Giá :
4.8 tỷ
Diện tích :
60 m2
Kích thước :
Chiều rộng: 4 m.   chiều dài: 15 m.   
Đường trước nhà :
8 m
Trạng thái :
Đang giao dịch
Ngày đăng :
15-12-2025
Ngày hết hạn :
13-02-2026

Vui lòng thông báo rằng bạn xem tin rao từ Bannhadat123.vn khi liên hệ người đăng tin:

Liên hệ: My       Điện thoại: Click để xem số điện thoại



Bất động sản tương tự đang bán tại Quận 12, Hồ Chí Minh

Tags:  bán đất quận 12


Chú ý:

Quý khách đang xem nội dung tin rao "Đất nền phân lô tl29 ngay ubnn phường thạnh lộc, quận 12". Mọi thông tin liên quan tới tin rao này là do người đăng tin đăng tải và chịu trách nhiệm. Chúng tôi luôn cố gắng để có chất lượng thông tin tốt nhất, nhưng chúng tôi không đảm bảo và không chịu trách nhiệm về bất kỳ nội dung nào liên quan tới tin rao này. Nếu quý vị phát hiện có sai sót hay vấn đề gì xin hãy thông báo cho chúng tôi.